torstai 26. marraskuuta 2015

Lyhyen päivän iso ilo



"Me käytiin Mökkeröllä, siis minä Raffe-koira, pappa ja mumska. Käytiin ihan vaan katsomassa millaista siellä on marraskuun lopulla. No, vilpoisaa oli ja märkää ja hämäränhyssyä, pilvistä ja tasaisen harmaata. Paitsi oli siellä lunta, märkää lunta...

Mutta oli siellä iiihanaa, just niin ihanaa, kun kotoa lähtiessä arvelin. Huomasin, että mumska alkoi pakata tavaroita mökkerökoriin. Ja kun se laittoi sinne vielä kamerankin, olin jo varma, että Mökkerölle mennään. Pappa tosin puhui - kuten tavallisestikin - M-reissusta (etten minä vain liikoja innostuisi enkä ainakaan liian aikaisin).

Siellä minä sitten sain juosta ihan vapaana niin lujaa kuin tassuista irtosi. Ja irtosihan sitä!



Oli ihanaa myös nuuskutella lumesta ties mitä hajuja. Olisivatkohan olleet metsän eläinten? Ei sitä pappa eikä mumskakaan osannut selittää. Ne vain katselivat, että kaikki on Mökkeröllä myrskyn ja lumisateen jäljiltä OK.

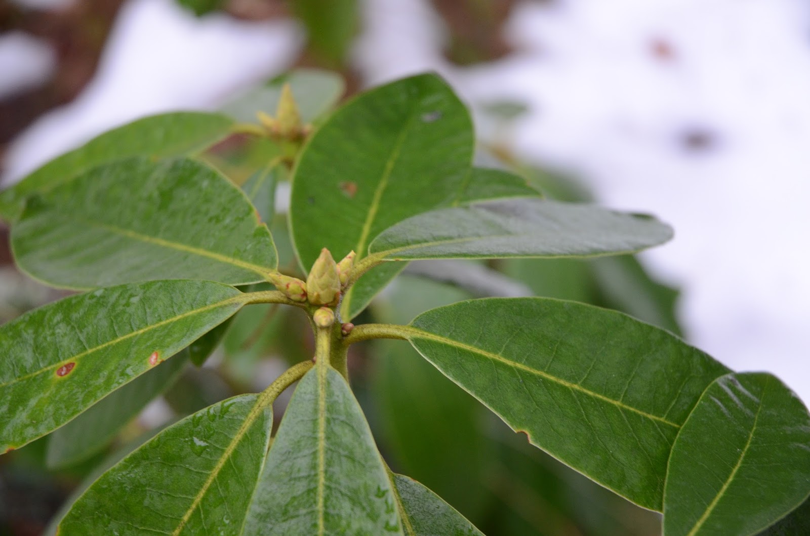
Mumska vielä tallusteli lumessa kameran kanssa ja höpötti jotain kevään merkeistä. Marraskuussa? Sitten se näpsi muutaman kuvan ruusun ja omppupuun versoista ja rodon latvasta...



Minä sen sijaan pidin tarkasti huolen, että pääsin mukaan kotimatkalle. En yhtään kiukutellut autoon tulosta niin kuin ihan huvikseni tein kesä- ja syyskeleillä. Silloin oli kivaa tulla melkein karvanetäisyydelle papasta ja mumskasta ja kipaista pikapikaa pihan toiselle puolelle. Niin, nehän jaksoivat maanitella pikkukoiraa melkein hermostumatta uskomattoman pitkään... Nyt oli kuitenkin ehdottomasti päästävä mukaan kyytiin. Oli niin vilpoisaa eikä edes uusi sadetakkinikaan olisi pitänyt tällaista karvakuonoa lämpimänä iltaan saakka.



Mökkeröllä oltiin siis vain päivän valoisin aika eikä se pitkä ollutkaan. Mutta siellä oli ihana vapaus meikäläiselle pienelle city-koiralle, joka joutuu aina ulkoilemaan hihnassa tai valjaissa. Paitsi iltaisin, jolloin pappa päästää minut ihan itse menemään iltapisulle omalle kotipihalle. Mökkerön pihallla järjestämäni havahulinan ansiosta jaksoin ihan kylmän viileästi odottaa mumskaa, joka halusi vielä vilkaista järvimaisemaa, jossa jäähyhmä näytti hiipivän kohti ulappaa.




Semmoinen reissu se Mökkerö-reissu tänään oli."


maanantai 23. marraskuuta 2015

Ripaus lunta, pilkahdus aurinkoa


Pilkahdus aurinkoa, ripaus lunta ja raikas ilma piristivät tänään kummasti pimeiden syyspäivien sarjaa. Auringon pilkistelyä pilvien lomasta riitti vajaan tunnin verran, mutta luvassa lienee vielä lisää ihailtavaa, verenpunainen taivaanranta.